Habertürk
    Takipde Kalın!
      Günlük gelişmeleri takip edebilmek için habertürk uygulamasını indirin
        Haberler Ekonomi İş-Yaşam Don olayı ve yoğun talep avokado fiyatını yükseltti - İş-Yaşam Haberleri
        5

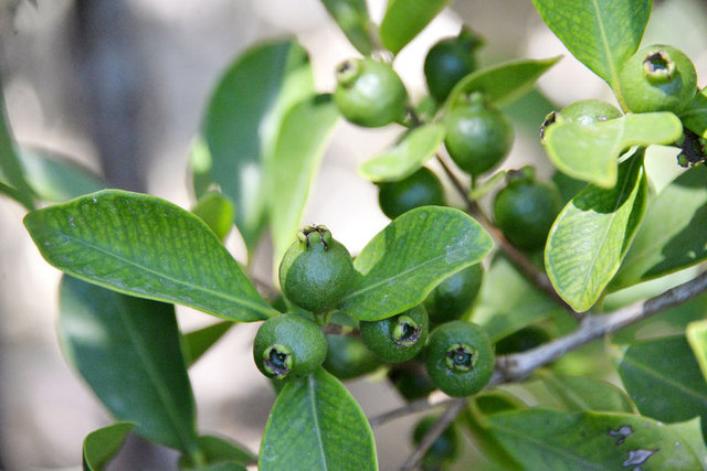
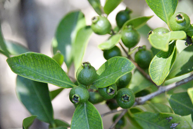
        "Avokadonun geçen yıl 2-4 lira olan fiyatı son zamanlarda 8 liraya kadar çıktı. Geçen kış avokadonun yüzde 50'si çiçek açtığı sırada dondu. Ürünümüz eksik oldu ve geçen yıla göre fiyatlar yüzde 40-50 arttı. Bu sene ağaçlar çiçek açtı, çok şükür havalar iyi gidiyor, inşallah yaza taze mahsul bol olur.

        6

        Avokadonun Türkiye'de bilinirliği arttı. Ülke ekonomisi de daha iyi gittiğinden olsa gerek insanların alım gücü yükseldi ve daha fazla tüketilmeye başlandı. Bu durumun oluşturduğu arz-talep dengesi nedeniyle geçen yıl 2-4 lira arasında satılan ürün 6-8 liraya kadar çıktı."

        7

        "ÜRÜN AZ OLUNCA İTHALAT BAŞLADI"

        Sevilgen, son yıllarda ihraç ürünü haline gelen avokadonun bu yıl yeterli miktarda üretilememesi nedeniyle ihracat yapamadıkları gibi ithalat yoluna gitmek zorunda kaldıklarını söyledi. Sevilgen, "Ürünün bu yıl az olması nedeniyle yurt dışından avokado getirmeye başladık. Geçen yıl 20 milyon adet avokado satarken bu rakam bu yıl 15 milyon civarında kaldı" dedi.

        8

        İthalatın kendileri açısından sorun olmadığını belirten Sevilgen, "Yurt dışı ürünün bize bir zararı yok. Üretimimiz arttığı zaman tüketim daha da artacaktır. Şu anda 30-40 milyon insan tüketiyor. Bir o kadar da potansiyel var. Zaten Türkiye'ye sadece Alanya'nın yetişme şansı yok" diye konuştu.

        9

        Birliğe bağlı 84 kayıtlı üretici bulunduğunu söyleyen Sevilgen, üreticileri birliğe kaydolmaya çağırdı. Sevilgen, "Üreticiler bize destek vermeli. Gelip kaydolmalı, birliği güçlendirmeli. Ne kadar büyürsek sorunları o kadar çabuk çözeriz. Güçlenirsek, derdimizi daha iyi anlatırız. Biz avokadoyu seviyor ve yaşatmak istiyoruz" ifadesini kullandı.

        10
        11

        TÜRKİYE'NİN TROPİK BAHÇESİ 'GAZİPAŞA'

        Batı Akdeniz Tarımsal Araştırmalar Enstitüsü (BATEM), Akdeniz Üniversitesi Ziraat Fakültesi ile Gıda Tarım ve Hayvancılık İl Müdürlüğü işbirliğinde 2013 yılında, 'Değişik Tropik Meyve Türlerinin Antalya Koşullarına Adaptasyonu Üzerinde Araştırmalar' başlıklı proje hazırlandı.

        12

        Proje kapsamında 2014 yılında ABD'nin Florida eyaletinden deneme amaçlı passiflora, litchi, pitaya, longan, guava ve mango fidanları getirtildi. Bu fidanlarla, eskiden köy statüsündeki Gazipaşa'nın Macar, Çobanlar ve Yakacık mahallelerindeki çiftçilerin arazilerinde deneme bahçeleri kuruldu.

        13

        HİÇ GÖRMEDİĞİMİZ MEYVELER

        Macar mahallesinde Fazıl ve Yusuf Kaya kardeşler ile Yakacık köyünde Yaşar Dağtekin'e ait alanda kurulan deneme amaçlı tropik bahçelerde dikimi yapılan passiflora, litchi, pitaya, guava, longan ve mango, bu yıl ilk meyvelerini verdi. Bu türlerden litchi, passiflora, pitaya ve mangonun az da olsa hasadına başlanıldı.

        14

        Türkiye'nin yeni tropik meyveleri görüntü ve tatlarıyla da beğenildi. Fiyatları ise üretici satışı olarak tanesi 15 liradan, kilogramı 60-70 liraya kadar olan bu meyveler, sadece hipermarketlerin raflarında bulunabiliyor.

        15

        TROPİKAL CENNET

        Gazipaşa'nın Türkiye'nin tropikal meyve ambarı olduğunu belirten Kaymakam Nurullah Kaya, şu açıklamalarda bulundu:

        16

        "Tropikal konuda yetiştirilemez olduğu düşünülen birçok ürün Gazipaşa'da şu anda üniversitemiz, BATEM ve meraklı vatandaşlarımız sayesinde yetiştirilebiliyor. Bir numaralı tropikal ürünümüz muz. Artık muz bizden biri. Bölgemizin en büyük geçim kaynağı muz üretimi. Passiflora, mango, litchi, pitaya gibi yaklaşık 17 tropikal ürün yetiştiriliyor. 6- 7 üründe deneme üretimleri devam ediyor. Gazipaşa tropikal cennet, tropikal meyvenin merkezi diye hareket ediyoruz ve bu konuda 2018'de bir gençlik festivalinin hazırlıklarını yapıyoruz"

        17

        BU YIL İLK MEYVELERİNİ VERDİ

        2013 yılında başlatılan projede bugün başarılı sonuçlar elde ettiklerini belirten AÜ Ziraat Fakültesi'nden Prof. Dr. Hamide Gübbük, özellikle meyvecilikle ilgili çalışmalarda uzun süre beklemek gerekirken, bu projede kendilerinin çok şanslı olduğunu dile getirdi. Projenin 6 türle başlatıldığını anlatan Prof. Dr. Gübbük, şu açıklamalarda bulundu:

        18

        "Adaptasyon açısından özellikle guava ve passiflora ön plana çıktı. Fakat bir ürünü sadece yetiştirmek önemli değil, aynı zamanda bunun satışı da önemli. Passiflora ve guavada bir yılda iki kez ürün alabiliyoruz ve bu çok önemli bir avantaj"

        19

        6 YENİ ÜRÜNDE DE BAŞARI SAĞLANDI

        Bugün Türkiye'de tropik meyveler denildiğinde genel olarak muz, mango, Hindistan cevizinin görülebildiği ve bilindiğini kaydeden Prof. Dr. Hamide Gübbük, şöyle konuştu:

        20

        "Son dönemde de papaya, pitaya gibi türleri görmeye başladık. Ama bizim getirdiğimiz longan, passiflora ve litchinin ileri aşamada yaygınlaşabileceğini düşünüyoruz. Çalışmamızda ilk aşamayı tamamladık. İkinci aşamada demonstrasyona geçeceğiz. Ön plana çıkan türlerin daha geniş alanlarda yetiştirilmesine öncülük edeceğiz. Ama ilk izlenimlerimize göre 6 türün 6'sı da burada başarılı sonuç verdi"

        21

        TÜRKİYE'NİN İLK TROPİKAL BAHÇESİ

        Yeni üretimi yapılan bu 6 türün Güney Amerika ve Güney Asya kökenli türler olduğunu belirten Prof. Dr. Gübbük, "Biz bunların fidanlarını Florida'dan getirttik. Türkiye'de kurulmuş ilk tropikal bahçe unvanını kazandı. Verdiğimiz emeğin karşılığını hem maddi hem manevi alacağız. Çünkü üreticilerimiz de arayış içinde. Yeni türler ilk geldiğinde biraz sancılı tarafları olur. Satılamaz, insanlar bu ürünleri bilmez ama öğrenildikçe ilgi artıyor" diye konuştu.

        22

        FİYATLARI DA ÇOK YÜKSEK

        Projenin yürütücülerinden Prof. Dr. Hamide Gübbük ve BATEM'den Dr. Beyza Biner, ürünlerin özellikleri ve fiyatlarına ilişkin de bilgi verdi. Bu ilginç meyvelerden passiflora dikildiği ilk yıl ve yılda iki kez meyve veriyor. Olgunlaştığında kırmızıya yakın bir renge bürünerek ağaçtan kendisi düşerek hasadı da çok kolay olan passiflora üreticiden tane olarak 2- 2.5 lira, kilogram olarak da 30 TL'ye satılıyor. İçi kiviyi andıran meyvenin kendine özgü çok özel bir aroması var.

        23

        YERLİ MANGO DAHA LEZİZ

        Gazipaşa'da üretilen mangolar ise yurtdışından ithal edilenlere göre daha kaliteli ve daha yüksek fiyata alıcı buluyor. Yurtdışından nakil süresi nedeniyle de meyve tam olgunlaşmadan toplandığı için gerçek tadı oluşmuyor. Ancak Gazipaşa'daki mangolar ağaç dalında olgunlaştıktan sonra toplanıp pazara sunuluyor ve gerçek tadı oluşuyor. Burada üretilen mangolar 10 TL ile 30 liraya kadar fiyatlarda alıcı buldu.

        24

        LİTCHİNİN KİLOSU 60 LİRA

        Litchi ve longan kardeş meyveler olarak anılıyor. Litchinin dışı olgunlaştığında kırmızı renge, longanın ise yeşile dönüşüyor. İkisinin de içi beyaz ve birbirine çok benziyor. Ancak litchi tadı ve görünümüyle longandan daha çok ön plana çıkıyor. Kilogramı ise üreticiden 60-70 TL'ye alıcı buluyor. Bazı marketlerde 3-4'ü 20 TL'ye satılıyor. Görüntü ve tat olarak litchiye benzeyen longan ise Ekim ayına doğru ilk meyvelerini verecek ve fiyatıyla ilgili henüz net bir durum yok.

        25

        PİTAYANIN TANESİ 15 LİRA

        Kaktüse benzer ağacı ve olgunlaştığında muhteşem bir görüntüye sahip pitaya ise bölgede üreticilerin en çok rağbet ettiği yeni tropikal meyve türü. Çobanlar Köyü'nde ticari üretimini yapan Mehmet Emin Yüksel, 2 dönümlük serada üretimini gerçekleştirdiği pitaya meyvesinin hasadını yapmaya başladı. Tanesi 10-15 liradan alıcı bulan pitayanın meyve kısmı da mor ve beyaz renkleri ve tadıyla büyük ilgi çekiyor. Bir meyvenin ağırlığı ise 450 gramdan başlayıp 1 kiloya kadar çıkıyor.

        26

        KAHVEDEN PAPAYAYA KADAR TROPİK BAHÇE

        Almanya'dan emekli olduktan sonra Yakacık Mahallesi'ne yerleşen ve burada 15 dönümün üzerinde alanda muz yetiştiren makine mühendisi Yaşar Dağtekin, arazisinde BATEM'e tropik meyve deneme üretimi için yer tahsisi yaptı. Bahçesini tropik meyvelerle donatan Dağtekin, mango, avokado, kahve, papaya, pitaya, passiflora, guava, litchi, longan gibi çok sayıda tropik ürünü bahçesinde yetiştiriyor.

        GÜNÜN ÖNEMLİ MANŞETLERİ